
Hochparterre-Wohnung in Wien
SIE suchen ein Eigentum in U-Bahn Nähe?
auf der Karte ansehenUmzugskosten berechnen
- Kaufpreis
- 248.000 €
- Zimmer
- 2
- Fläche
- 57.41 m²
10 Aufrufe
Objekt-ID: 37925511
Objekttyp: | Hochparterre-Wohnung |
Zimmer: | 2 |
Größe: | 57.41 m² |
Etage: | 3 |
Verfügbar ab: | sofort |
Immobilie
Objektbeschreibung
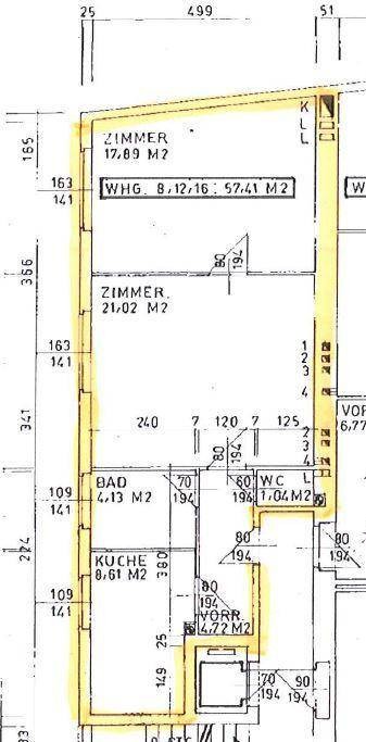
Ob sie diese Wohnung nun selbst nutzen oder vermieten möchten, nur wenige Schritt von Vio Plaza und der U4 Station MeidlingerHauptstraße entfernt, liegt diese knapp 58m² große 2Zimmerwohnung im 3. Liftstock …. ideal für all jene, die gerne auch ohne Auto den Alltag meistern.
Die knapp 9m² große Küche ist im Landhausstil ausgestattet und bietet durch das große Fenster eine angenehme Tageslichtatmosphäre.
Auch das Bad, ausgestattet mit einer Badewanne, bietet durch das große Milchglasfenster eine natürliche Belichtung und Durchlüftung.
Küche, Bad, WC und Wohnzimmer sind zentral begehbar. Der Parkettboden im Wohn- und Schlafbereich wurde gut erhalten.
Das Theresienbad lädt im Sommer mit großer Liegewiese zum Verweilen ein. Der Schloßpark Schönbrunn oder der AuerWelsbachPark sind für Frischluft- und Bewegungshungrige ebenso attraktiv… UND … zu Fuß erreichbar.
Einkaufsmöglichkeiten bietet das wenige Schritte entfernte VioPlaza oder die Geschäfte entlang der Meidlinger Hauptstraße bzw. am Meidlinger Markt
In weniger als 300m Entfernung befindet sich die U4 Station Meidlinger Hauptstraße, welche auch Knotenpunkt für die Autobuslinien 7A, 9A, 10A, 63A ist. Von hier kommen Sie mit den Öffis bequem und in wenigen Minuten in die Stadt oder zum Bahnhof Meidling (mit SBahn- und Fernzugverbindungen).
Holen Sie sich Ihren persönlichen Eindruck zu dieser attraktiven Immobilie und vereinbaren sie einen Besichtigungstermin.
Angaben gemäß gesetzlichem Erfordernis:
Heizwärmebedarf: 109.74 kWh/(m²a)
Klasse Heizwärmebedarf: D
Faktor Gesamtenergieeffizienz: 4.6
Klasse Faktor Gesamtenergieeffizienz: G
Die knapp 9m² große Küche ist im Landhausstil ausgestattet und bietet durch das große Fenster eine angenehme Tageslichtatmosphäre.
Auch das Bad, ausgestattet mit einer Badewanne, bietet durch das große Milchglasfenster eine natürliche Belichtung und Durchlüftung.
Küche, Bad, WC und Wohnzimmer sind zentral begehbar. Der Parkettboden im Wohn- und Schlafbereich wurde gut erhalten.
Das Theresienbad lädt im Sommer mit großer Liegewiese zum Verweilen ein. Der Schloßpark Schönbrunn oder der AuerWelsbachPark sind für Frischluft- und Bewegungshungrige ebenso attraktiv… UND … zu Fuß erreichbar.
Einkaufsmöglichkeiten bietet das wenige Schritte entfernte VioPlaza oder die Geschäfte entlang der Meidlinger Hauptstraße bzw. am Meidlinger Markt
In weniger als 300m Entfernung befindet sich die U4 Station Meidlinger Hauptstraße, welche auch Knotenpunkt für die Autobuslinien 7A, 9A, 10A, 63A ist. Von hier kommen Sie mit den Öffis bequem und in wenigen Minuten in die Stadt oder zum Bahnhof Meidling (mit SBahn- und Fernzugverbindungen).
Holen Sie sich Ihren persönlichen Eindruck zu dieser attraktiven Immobilie und vereinbaren sie einen Besichtigungstermin.
Angaben gemäß gesetzlichem Erfordernis:
Heizwärmebedarf: 109.74 kWh/(m²a)
Klasse Heizwärmebedarf: D
Faktor Gesamtenergieeffizienz: 4.6
Klasse Faktor Gesamtenergieeffizienz: G
Vorstellungsmappe
Jetzt Vorstellungsmappe erstellen
Lage
Schönbrunner Schloßstraße1120 Wien
Wien
Der aktuelle durchschnittliche Quadratmeterpreis beträgt 6.503,09 €/m² in Wien.
Mit Immobilienpreisen
Wien vergleichen
Was kostet dein Umzug?
Du planst einen Umzug? Finde jetzt die günstigste Umzugsfirma in deiner Region!
Umzugskosten berechnen Schütze dich vor Betrug!
Leiste keinerlei Zahlung im Vorraus!
Beachte unsere Sicherheitshinweise zum Thema Immobilienbetrug und lies, woran du solche Anzeigen erkennen kannst und wie du dich vor Betrügern schützt.
Anzeige melden Beachte unsere Sicherheitshinweise zum Thema Immobilienbetrug und lies, woran du solche Anzeigen erkennen kannst und wie du dich vor Betrügern schützt.
*Anzeige

Ähnliche Immobilien bei ImmoScout24
Wien
- Kaufpreis
- 200.000 €
- Zimmer
- 2 Zi.
- Fläche
- 50 Zi.
Anbieter
Weitere Ergebnisse für:
Wohnungen
Wien;
Immobilien
Wien;
Haus mieten
Wien;
Wohnung
Wien kaufen;
Haus kaufen
Wien;
Immobilienpreise
Wien Mietspiegel
Wien wohnungsboerse.net übernimmt keine Gewähr für von Dritten gemachte Angaben